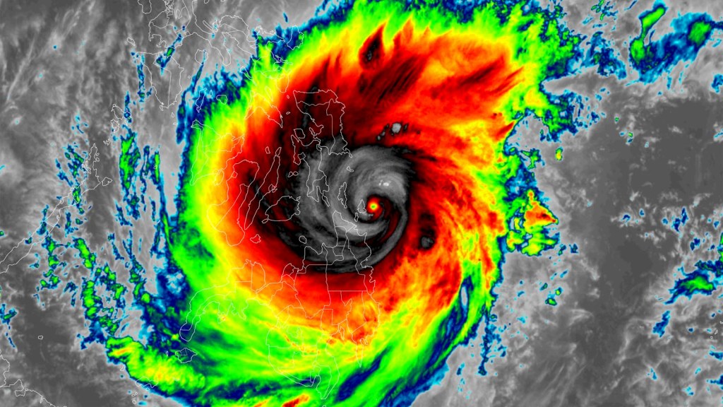
A few days before Christmas, the Philippines was once again reminded that there is no such thing as a break from the climate crisis. Within 24 hours, tropical cyclone “Odette” intensified from a weak storm into a super-typhoon right before making its first landfall in Mindanao on 16 December. It has been reported that 375 lives were unfortunately lost, while some cities and provinces suffered heavy losses to the point of appealing for immediate relief.
We commend the efforts of local governments and non-government stakeholders who initiated the evacuation of millions of residents and prepared as best as they could in anticipation of Odette’s impacts. Despite their best efforts, many areas across Visayas and Mindanao experienced disastrous effects that would disrupt their normal operations. Impacts such as submerged communities, power outages, and lost communication services remind Filipinos of strong storms that caused similar destruction, the most notable being Yolanda more than eight years ago that hit similar regions of the country.
This super-typhoon takes place a few weeks after the conclusion of the 2021 UN climate conference (COP26) in Glasgow, Scotland. During the two-week summit, a push for loss and damage facility that would provide funding for communities hit the hardest by climate-related disasters was blocked by developed nations and delayed to the next negotiations in Egypt (COP27). Let Odette be yet another reminder to the world that such actions only promote injustices and the suffering of the most vulnerable, who did not cause the climate crisis. Too many disasters have already occurred for irresponsible decision-making to continue.
We also call on all candidates for national positions in the 2022 Philippine elections to not simply use this tragedy as an opportunity to shamelessly promote their campaigns, but also prioritize the climate and environment agenda in their platforms. It is our hope that the next administration would restore the Philippines’ place at the global policy making arena as one of the leading voices for the vulnerable countries and demand compensation for loss and damage and uphold climate justice. We also expect our next leaders to further empower local stakeholders to avoid or minimize losses from climate-related disasters instead of further centralizing power through a single department that prioritizes response.
WE CALL ON THE GOVERNMENT TO DECLARE CLIMATE EMERGENCY AND CHAMPION THE INSTITUTIONALIZATION OF THE LOSS AND DAMAGE FACILITY UNDER THE UNITED NATIONS FRAMEWORK CONVENTION CLIMATE CHANGE (UNFCCC)
Image credit: NOAA/RAMMB/Colorado State University



